Jamaica Hurricane Live Coverage: Updates, Tracking & Safety

N.Vehikl 105 views
Jamaica Hurricane Live Coverage: Updates, Tracking & Safety

Jamaica Hurricane Live Coverage: Your Comprehensive Guide

Hey everyone! Are you ready for some serious updates on the Jamaica hurricane live coverage situation? Because, boy, do we have a lot to unpack. With hurricane season in full swing, it’s crucial to stay informed, especially if you’re in or have ties to Jamaica. This article is your one-stop shop for everything you need to know about the current weather patterns, potential threats, and how to stay safe. We’ll be diving deep into Jamaica’s storm tracker , discussing the latest Jamaica weather forecast , and exploring the crucial aspects of Jamaican hurricane preparedness . So, grab a Red Stripe, settle in, and let’s get you up to speed. This is going to be your go-to resource for Jamaica hurricane news and everything else you need to know to stay ahead of the storm.

Understanding the Threat: Hurricanes and Jamaica

First things first, let’s talk about why we’re all here: hurricanes. Hurricanes are powerful, destructive storms that can wreak havoc on any island nation, and Jamaica is no exception. Located in the Caribbean, Jamaica is particularly vulnerable to these weather phenomena during hurricane season, which typically runs from June 1st to November 30th. Knowing the potential risks and understanding the science behind these storms is the first step in staying safe. Imagine Mother Nature throwing a tantrum – that’s essentially what a hurricane is! It’s a massive spinning storm with winds of at least 74 mph. These storms aren’t just about the wind; they also bring torrential rain, flooding, and storm surges, which can cause significant damage. The Jamaica weather forecast is constantly monitored by meteorologists who use advanced technology to predict a storm’s path and intensity. This information is vital for issuing warnings and allowing residents to prepare. Every year, Jamaica braces itself, and this year is no different. We’ll examine the specific storms affecting the island, keeping you updated on the Jamaica hurricane news as it unfolds. When a hurricane threatens, it’s not just about the strong winds; it’s about the entire package of hazards that can impact lives and livelihoods. This is why keeping an eye on the Jamaica storm tracker is so important. We’ll provide real-time updates and expert analysis to help you stay ahead of the curve. And remember, Jamaican hurricane preparedness is key, and we will cover the best ways to prepare for potential threats. Being informed is half the battle; the other half is taking action, like making sure your emergency kit is ready and your family knows what to do in case of an evacuation. We’ll cover all of that in detail. So, stick around, and let’s get you prepped! We are in this together.

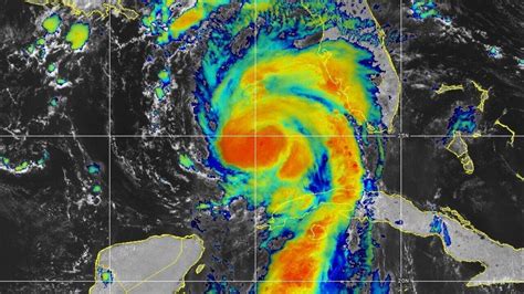
Live Updates: Tracking the Storms

Okay, let’s get down to the real-time action. This is where things get exciting—or perhaps nerve-wracking, depending on the storm’s trajectory! We’re constantly monitoring the Jamaica storm tracker to provide you with the latest updates on any hurricanes or tropical storms that might be heading towards Jamaica. We understand that getting the right information is the most important part. So, what exactly does this involve? We’ll be watching the radar, analyzing the satellite imagery, and following the official advisories from the National Hurricane Center (NHC) and the Meteorological Service of Jamaica. We’ll be bringing you the minute-by-minute changes in storm paths, wind speeds, and potential impacts. Our team of experts will be on the ground, gathering the most current data and sharing it with you. We’ll be keeping a close eye on any tropical storm Jamaica formations that could strengthen into a hurricane. Knowing where the storms are and where they’re headed is essential, but it is also important to understand what those storms can do. This means watching for storm surge predictions, which can cause extensive flooding along the coast. We’ll also cover rainfall forecasts because intense rain can lead to landslides and flash floods, which can be devastating. We’ll be sharing detailed maps and graphics so you can visualize the storm’s path and understand the potential impact on your area. We’ll translate the technical jargon into easy-to-understand language. We want to be your go-to source for reliable, up-to-the-minute information. Remember, weather can change quickly, so we will be updating this article regularly. Make sure to refresh your browser, and keep your notifications on, so you don’t miss any critical alerts.

The Forecast: What to Expect

Alright, let’s talk about the Jamaica weather forecast . What can we expect in the coming days and weeks? This is where the meteorologists put on their forecasting hats and predict what Mother Nature might have in store for us. The Jamaica weather forecast will be based on a variety of data points. Experts look at atmospheric conditions, sea surface temperatures, and historical weather patterns to make these predictions. So, what do they expect? We’ll provide a clear and concise summary of the forecast, including the likelihood of any storms forming and the potential impact on Jamaica. The Jamaica weather forecast is more than just wind speeds and rainfall predictions. It also includes information on potential storm surge, which is the rise in sea level caused by a storm’s winds. Storm surges can be extremely dangerous. Also, we will be looking at rainfall projections. Intense rainfall can lead to flooding, which can cause significant damage and even loss of life. We’ll break down the forecast into easy-to-understand terms. We’ll also provide graphics, maps, and illustrations to help you visualize what the forecast means for you. We understand that it’s crucial to understand these details, especially if you live in a flood-prone area or near the coast. Weather patterns can be unpredictable. So, we’ll keep you updated. Our team will constantly monitor and update the forecast as new information becomes available. We will also be watching for any changes in the forecast, such as an increase in the intensity of a storm, a shift in its path, or new storm formations. This is where staying informed is key. The more you know, the better prepared you’ll be. Consider checking the forecast regularly to stay ahead of the game. Always make sure you’re up-to-date on potential threats. So, keep checking back for the latest Jamaica weather forecast updates.

Hurricane Preparedness: Staying Safe in Jamaica

Now, let’s get to the nitty-gritty: Jamaican hurricane preparedness . This is where you take charge of your safety and well-being. Knowing the potential threats is one thing, but knowing how to prepare is even more important. We’ll walk you through the essential steps you should take to protect yourself, your family, and your property. First, start with an emergency kit. This is your lifeline if you lose power or water. Your kit should include essential supplies like food, water, medications, a first-aid kit, flashlights, batteries, and a battery-powered or hand-crank radio. Next, make a family emergency plan. This plan should include evacuation routes, meeting places, and contact information. Make sure everyone in your family knows the plan. Understand the importance of securing your home. This means boarding up windows, reinforcing doors, and clearing your yard of any loose objects that could become projectiles in high winds. Also, be aware of evacuation orders. If authorities tell you to evacuate, do it. Don’t take chances. Plan your evacuation route and have transportation ready. Ensure you’ve identified your nearest shelter. Many communities have designated hurricane shelters, so learn where yours is located. As well as having a plan, it’s also important to stay informed during a storm. Listen to local news, radio, and official announcements. Also, secure all important documents, such as insurance policies, medical records, and passports. Keep these in a waterproof bag or container. Stay connected and stay safe. It’s the most important thing. Keep in mind that hurricane safety Jamaica is a community effort. Check on your neighbors, especially the elderly and those with disabilities. Finally, don’t forget your pets. Ensure they have proper identification, food, water, and shelter. Following these guidelines will significantly increase your chances of staying safe. Remember, preparation is key, and it all starts with staying informed. Let’s make sure everyone stays safe, guys!

Important Resources and Information

Here are some essential resources to help you stay informed during a hurricane. You can also monitor Jamaica hurricane news from these sites. We have provided some links to trusted sources, including the National Hurricane Center, the Meteorological Service of Jamaica, and local news outlets. Check these sources for up-to-the-minute updates. Remember to stay informed and updated on all the current changes. Keep your family safe! Here is some information to help:

  • National Hurricane Center (NHC): For official hurricane information, including forecasts and warnings.
  • Meteorological Service of Jamaica: For local weather forecasts and advisories.
  • Local News Outlets: For real-time updates and coverage specific to Jamaica.

After the Storm: What to Do

Once the storm has passed, there will be a lot of damage. Knowing what to do in the aftermath is just as important as preparing before the storm. Be sure to be extra cautious. Assess any damage to your home and property. Don’t go outside unless it’s safe. Watch out for downed power lines, broken gas lines, and other hazards. Report any damage to your insurance company. This is when you can begin the recovery process. Follow any instructions from local authorities. This may include curfews, evacuation orders, or other safety measures. Begin the cleanup process. Dispose of any damaged items and take steps to prevent further damage to your home. Also, take care of your mental health. Dealing with the aftermath of a hurricane can be stressful, so don’t hesitate to seek support from friends, family, or professionals. Keep in mind that recovery can take time. So, be patient and resilient. We’ll provide you with updates. Remember, the community will be there for you.

Conclusion

And that’s a wrap, everyone! We hope this Jamaica hurricane live coverage guide has helped you stay informed and prepared. Remember, staying safe is a shared responsibility. The Jamaica hurricane damage can be very severe, so it’s best to stay safe. So, stay updated on the Jamaica hurricane news , follow the Jamaica storm tracker , and have a plan in place. Stay safe, stay informed, and let’s get through this together. We’ll continue to provide updates. So, stay tuned. We wish you all the best. Take care, and we’ll see you for the next update!