INOAA Hurricane Center Satellites: Tracking Storms

N.Vehikl 77 views
INOAA Hurricane Center Satellites: Tracking Storms

INOAA Hurricane Center Satellites: Tracking Storms

Hey there, weather enthusiasts! Ever wondered how the National Hurricane Center (NHC) keeps tabs on those swirling giants we call hurricanes? Well, a huge part of the answer lies in the incredible technology of the INOAA Hurricane Center Satellite . These satellites are like the ultimate sky-watchers, constantly monitoring our planet and providing crucial data that helps predict a storm’s path, intensity, and potential impact. In this article, we’ll dive deep into the world of these amazing satellites, exploring their vital role in hurricane tracking, how they work, and the impact they have on our lives.

Understanding the Role of INOAA Hurricane Center Satellites

Okay, so first things first: what exactly is the NHC, and why are satellites so darn important to them? The National Hurricane Center, or NHC, is part of the National Oceanic and Atmospheric Administration (NOAA). It’s the go-to source for weather forecasts and information about tropical cyclones (that’s hurricanes, tropical storms, and the like) in the Atlantic and Eastern Pacific Oceans. The NHC’s main job is to issue watches, warnings, and forecasts to protect lives and property. Without accurate, up-to-the-minute data, they wouldn’t be able to do that effectively. Now, that’s where the INOAA Hurricane Center Satellite comes into play. These satellites act as the NHC’s eyes in the sky. They gather a massive amount of information that helps meteorologists understand the storms. Let’s think about that for a second. Without this satellite info, we wouldn’t be able to see the storms until they were close to land. Can you imagine the chaos? These satellites provide a continuous stream of data, including cloud patterns, sea surface temperatures, wind speeds, and even the amount of water vapor in the atmosphere. This information is a lifeline, allowing the NHC to track storms from their formation to their dissipation. The ability to monitor these storms from space is a game-changer. The INOAA Hurricane Center Satellite provides a unique perspective that ground-based instruments simply can’t match. It allows forecasters to see the big picture, identifying emerging storms, tracking their movements across vast oceans, and assessing their intensity levels. This early warning is super critical, giving communities ample time to prepare and helping to minimize potential damage and loss of life. These satellites are not just some cool piece of tech; they are essential tools for saving lives. The data they collect is used in a range of forecast models, helping to make predictions more accurate and reliable. The bottom line is simple: without these satellites, the NHC’s ability to protect us from hurricanes would be severely compromised. So, the next time you hear a hurricane warning, remember the INOAA Hurricane Center Satellite and the vital role it plays in keeping us safe!

The Technology Behind INOAA Hurricane Center Satellites: How They Work

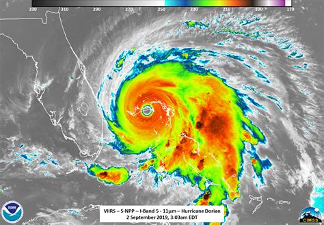
Alright, let’s get a little technical for a moment, shall we? You’re probably wondering, how do these INOAA Hurricane Center Satellite actually work? Well, it’s a mix of sophisticated sensors, advanced communication systems, and some seriously clever science. The primary types of satellites used by the NHC are geostationary and polar-orbiting satellites. Geostationary satellites, like the GOES series, are positioned high above the Earth at a fixed point relative to a specific location. They are basically orbiting the Earth at the same rate the Earth is rotating, so they always remain over the same spot, providing continuous coverage of a specific region. Polar-orbiting satellites, on the other hand, such as those in the NOAA and Metop series, travel in a north-south orbit, passing over the poles. As the Earth rotates beneath them, they eventually cover the entire planet. Each type has its own strengths and contributes to the overall picture. These satellites are equipped with a suite of instruments designed to measure various atmospheric and oceanic parameters. For instance, advanced radiometers and imagers capture images in different wavelengths of light, helping to identify cloud formations, measure cloud-top temperatures, and determine the intensity of thunderstorms. Other sensors measure sea surface temperatures, a critical factor in hurricane formation and intensification. The satellites also carry instruments that can detect wind speeds near the ocean surface, providing crucial information about the hurricane’s strength. One of the most important instruments is the microwave sounder, which can penetrate clouds and gather data about the temperature and moisture content of the atmosphere. This is super helpful because it provides a 3D view of the storm’s structure, allowing forecasters to see what’s happening inside the hurricane, even if it’s hidden from view. The data collected by these instruments is transmitted back to ground stations, where it’s processed and analyzed. This analysis is used in complex computer models that help meteorologists predict a hurricane’s track, intensity, and potential impacts. The communication systems are super important. The satellites use sophisticated communication systems to transmit this huge amount of data back to Earth. The raw data is then processed and analyzed by meteorologists, and used to create forecasts, issue warnings, and support various research activities. The technology is always evolving, so these satellites are constantly being upgraded with new and improved instruments. It’s a testament to human ingenuity and our dedication to understanding and protecting ourselves from the forces of nature.

Key Data and Capabilities of INOAA Hurricane Center Satellites

Okay, let’s talk about the specific types of data these INOAA Hurricane Center Satellite collect. This is where it gets really interesting. One of the primary things these satellites do is provide continuous imagery. Satellites capture visible light images during the day and infrared images at night. These images show cloud patterns, helping meteorologists identify storms, track their movements, and assess their structure. We’re talking real-time visuals, here! This continuous visual stream is critical for monitoring the storms. In addition to imagery, satellites also measure sea surface temperatures (SST). Why is this important? Because hurricanes need warm ocean water to form and intensify. Satellites can map these temperatures across vast areas, identifying regions that are most likely to support hurricane development. Another critical measurement is the wind speed near the ocean surface. These data helps scientists assess the strength of the storm. Satellites use scatterometers to measure wind speeds. These instruments send out microwave pulses that reflect off the ocean surface. The strength and pattern of the reflected signals help to calculate wind speeds. The INOAA Hurricane Center Satellite also provide data on atmospheric moisture, the amount of water vapor in the air. High levels of moisture fuel hurricane development and intensification. Satellites can measure moisture using instruments that detect the absorption of specific wavelengths of light by water vapor. Rainfall is another important factor in the lives of hurricanes. Satellites can estimate rainfall rates using microwave sensors, providing insights into the intensity and distribution of precipitation within a storm. Another amazing thing these satellites do is measure cloud-top heights. High cloud tops indicate strong thunderstorm activity, a key indicator of hurricane intensity. Finally, the satellites provide a ton of data for scientists to improve weather models. This data is used to feed and improve computer models, the complex algorithms used to forecast hurricanes. The more data that’s available, the more accurate the forecast will be. So, these satellites aren’t just taking pictures, guys. They’re gathering a wealth of information that helps us understand, predict, and prepare for hurricanes. Without them, we’d be flying blind!

The Impact of INOAA Hurricane Center Satellites on Hurricane Forecasting and Public Safety

Alright, so how do all these data and capabilities translate into something that actually helps us? Let’s talk about the real-world impact of INOAA Hurricane Center Satellite on hurricane forecasting and public safety. These satellites have revolutionized our ability to predict hurricanes. The continuous monitoring, detailed imagery, and comprehensive data they provide allow meteorologists to track storms with unprecedented accuracy. This means better forecasts, earlier warnings, and, ultimately, more lives saved. These tools enable the NHC to issue hurricane watches and warnings with greater lead times. This gives communities ample time to prepare, evacuate, and secure their properties. The longer lead times provided by satellite data are especially critical for vulnerable populations, giving them the time they need to get to safety. But the benefits extend beyond individual preparedness. Satellite data is crucial for disaster management and response efforts. The data helps emergency managers allocate resources, plan evacuations, and coordinate rescue efforts. Think about it: during a hurricane, real-time information about a storm’s location, intensity, and expected impact is essential for making informed decisions. The satellites also play a key role in scientific research and understanding of these powerful storms. The data helps scientists study hurricane behavior, improve forecast models, and ultimately refine our ability to predict these dangerous events. These satellites are not just about forecasting; they are also important for research. The data they collect allows scientists to study the long-term trends and effects of hurricanes, which is critical for making us ready for the future. The satellites allow us to get a better understanding of the hurricane’s life cycle. So, from the initial formation of a storm, to its impact on the ground, the INOAA Hurricane Center Satellite have made us much safer. These tools have improved public safety and changed the way we understand and respond to hurricanes. These amazing satellites are constantly working in the background to keep us safe, informed, and prepared.

The Future of Satellite Technology in Hurricane Tracking

So, what’s next? The field of satellite technology is constantly evolving, and the future of INOAA Hurricane Center Satellite promises to be even more amazing. The improvements are already visible. The latest generations of satellites are equipped with advanced sensors that can capture even more detailed data. These new instruments can measure a wider range of atmospheric and oceanic parameters, providing a more comprehensive picture of hurricane conditions. Look forward to more high-resolution imagery and better measurement capabilities. The next big thing is artificial intelligence (AI) and machine learning (ML). The sheer volume of data collected by the satellites is already immense, and it’s only going to get bigger. AI and ML algorithms will be key to processing and analyzing this massive amount of data. These technologies can identify patterns, and detect subtle changes that humans might miss. Expect more efficient and accurate forecast models. Another exciting area is the development of new types of sensors and instruments. Scientists are working on technologies that can peer even deeper into the heart of hurricanes, providing better insights into their internal dynamics. This includes improved microwave sensors, and advanced radar systems. The goal is to get a better understanding of hurricane intensity and movement. We also have to think about international cooperation and collaboration. Weather is a global phenomenon. No single nation can tackle the challenge alone. Expect to see greater collaboration between space agencies and meteorological organizations. Working together and sharing data will improve the accuracy of hurricane forecasting. Also, there will be more private sector involvement in the space industry. Companies are entering the field of satellite development and data analysis. This will lead to innovation and competition, accelerating the pace of technological advancements. The future looks bright. As the technology continues to evolve, we can expect to see even more accurate forecasts, longer lead times, and better protection for communities at risk. The future is very bright for INOAA Hurricane Center Satellite and everyone they help.