Hurricane Tracking: Satellite Maps & Real-Time Updates

N.Vehikl 3 views
Hurricane Tracking: Satellite Maps & Real-Time Updates

Hurricane Tracking: Satellite Maps & Real-Time Updates

Hey guys! Ever wondered how we keep tabs on those massive storms that rumble across the ocean? Well, it all boils down to hurricane tracking , and a huge part of that involves some seriously cool tech, like satellite maps . This article is your go-to guide for understanding how these tools work, how to read them, and how they help keep us safe. We’ll dive into the world of real-time hurricane updates and explore what makes them so crucial during hurricane season. Let’s get started!

The Power of Hurricane Tracking and Satellite Imagery

So, why is hurricane tracking so darn important? Think about it: hurricanes are like nature’s heavyweight champs, packing insane winds and unleashing torrential rain. Knowing where they’re headed, how strong they are, and when they might make landfall can literally save lives. That’s where satellite imagery steps in, acting as our eyes in the sky. Satellites equipped with special sensors can peer through the clouds and give us a bird’s-eye view of these storms. They gather a ton of data, including cloud patterns, wind speeds, and even sea surface temperatures. This data is then translated into satellite maps , which are the visual representations of the storm’s current state and predicted path. The whole process is incredibly complex, involving a team of meteorologists, computer models, and cutting-edge technology working around the clock. But the end result is a clear picture of the hurricane, allowing us to issue warnings, evacuate communities, and minimize the damage. Pretty impressive, huh?

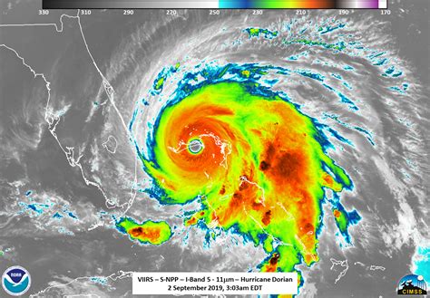
Satellite imagery is like having a constant surveillance system for the world’s weather. Different types of satellites provide different perspectives. Some focus on visible light, giving us those classic cloud images that look so familiar. Others use infrared sensors, which can detect heat differences. This is especially useful for pinpointing the warm ocean waters that fuel a hurricane’s strength. Then there are microwave sensors that can penetrate through the thickest clouds to reveal the storm’s structure. All this information is compiled and analyzed to generate accurate forecasts. Without this data, we would be flying blind, unable to predict where and when a hurricane might strike. In today’s world of advanced technology, we can generate a very accurate forecast of a hurricane’s trajectory. This is due to the integration of various real-time data sources and sophisticated weather models.

Now, let’s talk about the incredible benefits of using these maps for real-time tracking. Real-time updates mean we’re constantly getting the latest data on a storm’s movement and intensity. These updates can be delivered via the news, the National Hurricane Center, or even through apps on your phone. This information is key to making critical decisions. For example, if a hurricane is predicted to hit an area, residents can use the information to prepare, evacuate, or take shelter. Also, it’s not only the path of the storm that is important, but also the severity of the damage that can be expected, thanks to the satellite maps ’ data. This is how we can take measures that are proportional to the threat. It’s like having a personal weather forecaster in your pocket, and that can make a huge difference during hurricane season.

Decoding Hurricane Satellite Maps: What You See

Alright, let’s get into the nitty-gritty of hurricane satellite maps . When you first look at one, it might seem like a chaotic swirl of colors and lines, but trust me, it’s not as complicated as it looks. The key is knowing what each element represents. Let’s break down the main components, shall we?

First off, you’ll usually see the hurricane’s center . This is the eye of the storm, the calmest part, surrounded by the eyewall, where the strongest winds are located. On the map, the eye is often marked with a symbol or a small circle. Next, there are the storm’s path and the cone of uncertainty . The path is a line showing where the hurricane is predicted to go, and the cone represents the area where the center of the storm is most likely to travel. The wider the cone, the less certain the forecast is. Then there are wind speed indicators . These are usually color-coded, with different colors representing different wind speeds. For example, red might indicate hurricane-force winds, while yellow might mean tropical storm-force winds.

Satellite maps often include various other elements. You’ll likely see the current wind speed and pressure readings , both critical factors in determining the storm’s strength. Some maps also show the forecasted rainfall , as well as any watches and warnings that have been issued for specific areas. The colors on the map also tell us a story. They help us understand the intensity of the storm and where the heaviest rainfall is expected. The colors are very different depending on the type of map you’re looking at. For example, if you’re looking at an infrared map, the warmer temperatures appear in different colors than the cooler ones, so you can see where the heaviest rainfall is expected. These maps are constantly updated, so what you see now might change in a matter of minutes. That’s why it is important to pay close attention to the real-time hurricane updates and be aware of how the information can vary. Finally, you may see a scale, which helps you understand the size and distance of the storm. These can really help you get a sense of how the storm is going to affect the areas near you.

Understanding these elements is the first step to becoming a hurricane map pro. With a little practice, you’ll be able to quickly grasp what’s happening and make informed decisions during a hurricane.

Real-Time Hurricane Updates: Where to Find Them

Okay, so you’re ready to stay in the loop during hurricane season? Great! But where do you get these crucial real-time hurricane updates ? Luckily, there are plenty of reliable sources out there. Here’s a rundown of the best places to find them:

The National Hurricane Center (NHC): This is the gold standard, guys. The NHC, part of the National Weather Service, is the official source for hurricane information in the United States. Their website is packed with maps, forecasts, advisories, and detailed reports. It’s updated constantly, so you’ll always have the latest data. The NHC’s website provides the real-time hurricane updates with very detailed maps and information. It is important to know that the information is updated very frequently. This allows you to stay safe and make informed decisions, especially if you are living in an area at risk of a hurricane strike. This can be critical to your safety, especially during hurricane season.

Local News Outlets: Your local TV stations, newspapers, and websites are also key sources for hurricane information. They often have dedicated weather teams that provide in-depth coverage, local impact assessments, and personalized warnings. Make sure to have trusted local sources, since they are usually very up-to-date with local events. These sources are very important, as they provide detailed coverage, helping you to understand how a hurricane might affect the local area.

Weather Apps and Websites: There are tons of weather apps and websites that provide hurricane tracking data. Some popular options include AccuWeather, The Weather Channel, and Windy. These apps often offer interactive maps, push notifications, and detailed forecasts. These sources are useful, since you can take them with you wherever you go. Most of these resources are available through mobile applications, which allows you to stay informed even when you are not at home. Make sure to download at least one of these apps to have access to updated data.

Social Media: Believe it or not, social media can also be a valuable source of information. Follow the NHC, your local news outlets, and trusted meteorologists on platforms like Twitter and Facebook. Just be sure to double-check the information you find online, and always rely on official sources first. Social media can be a good source of information, but it is important to verify the sources since the information can sometimes be misleading.

Remember, staying informed is your best defense against hurricanes. By using these sources, you can get the real-time hurricane updates you need to stay safe and make smart decisions.

Technology Behind the Tracking: Satellites and Models

So, how does all this hurricane tracking magic happen? It’s a combination of advanced technology, including satellites and sophisticated computer models. Let’s explore the key players:

Geostationary Satellites: These satellites orbit the Earth at the same rate as the planet rotates, staying fixed above a specific location. This allows them to continuously monitor the same area, providing constant updates on weather patterns. Geostationary satellites are constantly watching hurricanes, taking pictures and measuring wind speeds. This allows for constant and updated information that is crucial for tracking a hurricane. These types of satellites are very important to provide real-time hurricane updates .

Polar-Orbiting Satellites: Unlike geostationary satellites, polar-orbiting satellites orbit the Earth from pole to pole. They provide a different perspective and can capture higher-resolution images. These satellites provide a detailed view of hurricanes. They go around the earth every day and can provide a ton of useful information about the state of the hurricane, which is very helpful for tracking. They fly over the poles, and provide very detailed images.

Weather Models: These are complex computer programs that use data from satellites, weather stations, and other sources to simulate the atmosphere. They forecast the storm’s path, intensity, and potential impact. They take all the information and run simulations of how the weather will behave. The models are run by computers, and meteorologists interpret the results to provide forecasts. The models have been constantly improving thanks to the increasing computing power and the improved data that satellites can provide.

Hurricane tracking is a constant interplay of these components, which work together to paint a comprehensive picture of the storm. Satellites gather the data, models interpret it, and meteorologists analyze the results. It’s a team effort that is essential for providing accurate forecasts and keeping us safe.

Tips for Using Hurricane Satellite Maps Effectively

Alright, you’ve got the basics down, now let’s talk about how to use hurricane satellite maps effectively. Here are some tips to help you stay informed and make informed decisions:

Understand the Basics: Before you do anything else, familiarize yourself with the elements of a hurricane map. Know what the eye, the path, and the cone of uncertainty mean. Understanding the basics will make the maps much easier to interpret.

Check Multiple Sources: Don’t rely on just one source of information. Compare data from the NHC, local news, and weather apps to get a well-rounded view of the storm. Comparing different sources is key to a reliable picture of the current weather situation. This way you can minimize the chance of getting misinformed. This also means you can notice discrepancies, that may mean that something is not right.

Pay Attention to Updates: Satellite maps and forecasts are constantly updated. Check them frequently, especially as the storm gets closer. This will ensure that you have the latest information.

Know Your Risk: Identify your risk level. Are you in an area that is likely to be affected by the hurricane? Knowing your location and area of risk can help you to make the right decisions about your preparation efforts.

Have a Plan: Have a plan of action in place, and communicate it to your family. Know what you will do if a hurricane threatens your area. Having a plan of action is the first step you can take to make sure that you and your loved ones are safe.

Follow Official Guidance: Listen to the advice of local authorities and emergency management officials. They are your best resource for information and instructions. Do not underestimate official guidance; it can save your life. Authorities are trained to give the best advice, and ignoring them could result in serious consequences.

By following these tips, you’ll be well-prepared to use hurricane satellite maps to stay safe and informed during hurricane season. Be prepared, stay safe, and remember to trust the professionals.

Frequently Asked Questions About Hurricane Tracking

Alright, let’s wrap things up with some frequently asked questions about hurricane tracking and satellite maps :

Q: How accurate are hurricane forecasts? A: Hurricane forecasts have improved significantly over the years, but they’re not perfect. The accuracy of a forecast decreases with time. The cone of uncertainty is a good indicator of forecast confidence.

Q: What is the cone of uncertainty? A: The cone of uncertainty is a graphic on hurricane maps that shows the probable path of the storm’s center. The wider the cone, the less certain the forecast.

Q: What is the difference between a hurricane watch and a hurricane warning? A: A hurricane watch means that hurricane conditions are possible in the area within the next 48 hours. A hurricane warning means that hurricane conditions are expected within 36 hours.

Q: How do I prepare for a hurricane? A: Preparation includes gathering supplies, securing your home, and having an evacuation plan. Stay informed and follow the guidance of local authorities.

Q: Where can I find the most up-to-date information? A: The National Hurricane Center (NHC) is your best source for official hurricane information. Local news outlets and weather apps are also valuable resources.

Hopefully, this article has provided you with a better understanding of how hurricane tracking works, how to read satellite maps , and where to find the real-time hurricane updates you need. Stay safe out there, and remember to always be prepared. That’s all for today, folks! Stay safe and keep an eye on those storms!