Hurricane Tracking: Live Satellite & Real-time Updates

N.Vehikl 87 views
Hurricane Tracking: Live Satellite & Real-time Updates

Hurricane Tracking: Live Satellite & Real-time Updates

Hey there, weather enthusiasts! Ever found yourself glued to the screen, watching a hurricane churn across the ocean? It’s a mix of awe and concern, right? Well, let’s dive into the fascinating world of hurricane tracking , exploring the tools that let us follow these powerful storms, like live satellite imagery and real-time updates. This is where the magic happens, guys! We’ll look at how scientists and weather buffs alike use technology to understand these behemoths of nature. We will discuss various hurricane tracking methods, from the basics to the complex systems used by meteorologists, and explore how you can access this information yourself. This knowledge allows us to prepare for and respond to these storms.

Understanding Hurricanes and Why We Track Them

Alright, before we get into the nitty-gritty of tracking, let’s refresh our memories about what a hurricane actually is . A hurricane, also known as a typhoon or cyclone depending on where you are in the world, is a massive, rotating storm system characterized by intense low pressure, strong winds, and heavy rainfall. They’re fueled by warm ocean waters, which is why they typically form over tropical or subtropical regions. The intensity of a hurricane is measured by wind speed, categorized on the Saffir-Simpson Hurricane Wind Scale. This scale ranges from Category 1 (the weakest) to Category 5 (the strongest), with Category 5 storms packing winds of 157 mph or higher. Knowing the category is a major factor in hurricane tracking .

So, why do we bother tracking these things? Well, the main reason is safety. Hurricanes can cause widespread devastation, including flooding, structural damage, and loss of life. By monitoring these storms, we can provide warnings to communities in their paths, giving people time to evacuate or take other protective measures. Accurate hurricane tracking also helps emergency responders prepare and deploy resources efficiently. Besides, it’s not just about immediate safety. Tracking hurricanes also helps scientists understand climate change. By analyzing the frequency, intensity, and tracks of these storms, researchers gain insights into long-term trends and the impact of a warming planet. Tracking data helps improve weather models, leading to more accurate forecasts and longer lead times for warnings. Accurate forecasts also lead to better resource allocation by both government and private entities, meaning the distribution of resources such as food, water, and medical supplies to those in need. Hurricane tracking is a complex field, which is constantly evolving, but the core goal always remains the same: protecting people and property from these powerful forces of nature.

The Power of Live Satellite Imagery in Hurricane Tracking

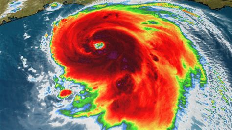
Now, let’s talk about the real visual treat: live satellite imagery. This is one of the most vital tools in hurricane tracking . Satellites, orbiting the Earth, constantly gather data about the atmosphere, cloud formations, and sea surface temperatures. This data is then transmitted back to Earth, where it’s processed into images and other information that meteorologists use to monitor hurricanes. There are two main types of satellites used in hurricane tracking : geostationary and polar-orbiting satellites. Geostationary satellites stay fixed over a specific point on the Earth’s surface, providing continuous views of the same region. This is great for monitoring a hurricane’s development and movement in real-time. Polar-orbiting satellites, on the other hand, orbit the Earth from pole to pole, providing more detailed data about atmospheric conditions. The images from these satellites are absolutely stunning. They show the swirling clouds, the eye of the storm, and the overall structure of the hurricane. The use of infrared and other specialized sensors allows us to see through clouds, revealing the temperature and other properties of the storm. Live satellite imagery helps us understand a hurricane’s size, shape, and intensity. We can observe how the storm is changing over time. Is it growing stronger? Is the eye getting larger or smaller? Is it moving faster or slowing down? All these pieces of information help meteorologists forecast the storm’s path and intensity.

It is super easy to access this data! You can find it on various websites, such as the National Hurricane Center (NHC), weather apps, and news outlets. These sources often provide interactive maps that let you see the latest satellite images, along with other data like wind speed, rainfall amounts, and predicted storm tracks. This kind of information is critical. It enables people to make informed decisions and stay safe. It’s like having a window into the storm’s heart.

Real-Time Updates: The Backbone of Accurate Hurricane Information

Beyond satellite imagery, real-time updates are the other crucial part of hurricane tracking . This involves a constant stream of information from various sources. The National Hurricane Center is the primary source of real-time information in the US. They gather data from a network of sources, including weather models, aircraft reconnaissance, radar, and surface observations. Aircraft reconnaissance involves specially equipped planes that fly directly into hurricanes to collect data about wind speed, pressure, and temperature. This is valuable because these planes give us the most accurate measure of what the storm is actually doing. Radar systems detect precipitation and wind speeds. They’re essential for tracking the storm’s movement and intensity. Weather models are computer programs that simulate the atmosphere and predict the future path and intensity of hurricanes. Meteorologists analyze the output from these models and use it to create forecasts. Weather models are not perfect, but they are improving all the time thanks to advanced computing power and better scientific understanding. Surface observations include data from weather stations, buoys, and other instruments on the ground and in the ocean. This data helps to verify the accuracy of weather models and provide additional insights into the storm’s behavior.

The real-time updates from all these sources are compiled and analyzed by meteorologists, who then issue advisories and warnings. These advisories provide information about the storm’s location, intensity, and predicted path, along with potential impacts such as rainfall, flooding, and storm surge. These real-time updates are available on many platforms: the NHC website, weather apps, news websites, and social media. The information is updated frequently, often every few hours, so you can stay informed. Staying informed is important because it can give you the time to prepare for the storm, protect your home, and ensure your own safety and that of your loved ones. The constant flow of information helps you to make the right decisions during the storm.

Tools and Resources for Tracking Hurricanes

So, where do you find all this information? Luckily, there are many tools and resources available to help you track hurricanes. You don’t need a degree in meteorology to stay informed. Here are some of the key resources:

  • National Hurricane Center (NHC) : This is the official source of hurricane information in the United States. Their website provides the latest advisories, forecasts, and satellite imagery. It’s a goldmine of data.
  • Weather Apps : Many weather apps provide real-time updates, including hurricane tracking maps, wind speed, and rainfall forecasts. Some of the most popular apps include AccuWeather, The Weather Channel, and Windy.
  • News Websites : Major news outlets, such as CNN, Fox News, and the BBC, provide up-to-date hurricane coverage, including live updates, videos, and expert analysis.
  • Interactive Maps : Many websites and apps offer interactive maps that let you visualize the storm’s path, wind speeds, and potential impacts. This is a very useful way to visualize the data.
  • Social Media : Follow official weather agencies and meteorologists on social media for the latest updates and alerts. You can also join local community groups to get information about evacuation orders and other important announcements.

When using these resources, keep a few things in mind. First, always get your information from reliable sources. Beware of misinformation and rumors, which can spread quickly during a hurricane. Second, pay attention to the official warnings and advisories issued by the NHC and local authorities. These are designed to keep you safe. Third, be prepared to take action. Have a hurricane preparedness plan in place. This includes stocking up on supplies, securing your home, and knowing your evacuation route.

Advanced Techniques and Future of Hurricane Tracking

While the resources we’ve discussed so far are great, the field of hurricane tracking is constantly evolving. Scientists are always developing new methods and technologies to improve the accuracy and timeliness of hurricane forecasts.

One exciting area of research is the use of artificial intelligence (AI) and machine learning. AI algorithms can analyze vast amounts of data from satellites, weather models, and other sources to identify patterns and make predictions. This technology has the potential to improve the accuracy of hurricane forecasts and to better understand the factors that drive storm development and intensity. Another area of focus is on improving the resolution and accuracy of weather models. Researchers are developing models that can simulate the atmosphere with greater detail, leading to more accurate forecasts. Advanced radar systems, such as dual-polarization radar, are also improving our ability to measure rainfall and wind speeds. This improved radar provides a more complete picture of the storm. In addition, the use of unmanned aerial vehicles (UAVs), or drones, is expanding. These drones can fly into hurricanes to collect data, which helps to improve forecasting. The future of hurricane tracking is bright! The convergence of advanced technologies and scientific research promises to provide more accurate and timely warnings, and, above all, to keep us safer. The ultimate goal is to minimize the impact of these devastating storms.

Staying Safe During Hurricane Season

Knowing how to track a hurricane is only part of the battle. The other part is staying safe during hurricane season. Here are some tips to help you stay protected:

  • Make a Plan : Have a hurricane preparedness plan in place. Know your evacuation route, and make sure your family knows the plan, too. Figure out where you will go in case of evacuation and where to meet. Make sure your family knows your emergency plan.
  • Build a Kit : Gather emergency supplies, including food, water, medicine, a flashlight, batteries, and a first-aid kit. Prepare for at least three days of being stranded. Keep it in an accessible place.
  • Secure Your Home : Trim trees and shrubs, secure loose objects, and reinforce your windows and doors. Boarding up windows is a good idea in many cases.
  • Stay Informed : Monitor the latest hurricane forecasts and warnings from reliable sources. This is essential, of course. Listen to the local news and weather reports. You can never have enough information.
  • Evacuate When Ordered : If you are in an area under an evacuation order, evacuate immediately. Do not stay behind because it is not safe!

Hurricane tracking and preparation are essential to protect lives and property. By understanding how to track hurricanes, accessing real-time updates, and following safety guidelines, you can significantly reduce your risk and stay safe during hurricane season. Stay informed, stay prepared, and stay safe, guys!