Hurricane Melissa: Updates, Landfall Time, And Latest Info

N.Vehikl 142 views
Hurricane Melissa: Updates, Landfall Time, And Latest Info

Hurricane Melissa: Updates, Landfall Time, and Latest Info

Hey guys! Let’s dive into everything you need to know about Hurricane Melissa. We’re going to break down the latest updates, predictions, and all the crucial details surrounding this dynamic weather event. Understanding hurricanes can be tricky, but we’ll make it super easy and straightforward. So, buckle up and let’s get started!

Current Status of Hurricane Melissa

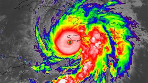
Alright, first things first, let’s talk about the current status of Hurricane Melissa. Keeping tabs on a hurricane’s status is super important because things can change rapidly. As of now, weather experts and the National Hurricane Center ( NHC ) are closely monitoring Melissa. They’re tracking its movement, intensity, and potential impact on any landmasses. Understanding the storm’s current status involves looking at its wind speed, direction, and overall structure.

Typically, this information is updated every few hours, so staying informed means checking back regularly with reliable sources. The NHC provides detailed reports and forecasts, which include spaghetti models (visual representations of potential paths) and discussions about the factors influencing the storm. These factors can include things like sea surface temperatures, wind shear, and other weather systems that might interact with the hurricane. Knowing these details helps forecasters make better predictions, and it helps us prepare effectively.

One of the key things to watch is whether Melissa is strengthening, weakening, or maintaining its intensity. Changes in intensity can significantly alter the potential impact of the storm. For example, a weakening hurricane might still bring heavy rain and gusty winds, but a strengthening one could pose a much greater threat, potentially leading to more severe damage and greater risks to coastal communities. Also, pay attention to the storm’s classification. Is it still a tropical storm, or has it reached hurricane status? This classification is based on its sustained wind speeds, and it gives you a quick snapshot of its potential severity.

Predicted Landfall Time for Hurricane Melissa

Now, let’s get to one of the most important questions: when is Hurricane Melissa expected to make landfall? Predicting the landfall time of a hurricane is a complex process. It involves analyzing various weather models and considering numerous environmental factors. Keep in mind that these predictions are not set in stone; they can shift as new data becomes available. Forecasters use sophisticated tools and techniques to estimate when and where the storm will hit, but there’s always a degree of uncertainty.

The predicted landfall time is crucial for communities in the potential path of the hurricane. It gives people a timeline to prepare, evacuate if necessary, and secure their properties. Local authorities rely on these predictions to make critical decisions about issuing warnings, opening shelters, and deploying emergency resources. Therefore, having the most accurate and up-to-date information is vital for everyone involved.

When you hear about a predicted landfall time, it’s usually presented as a range rather than a specific moment. This range reflects the uncertainty in the forecast. For instance, a forecast might say that Melissa is expected to make landfall sometime between Friday evening and Saturday morning. This range gives you a broader window to prepare, acknowledging that the exact timing could vary. Always pay attention to these ranges and plan accordingly.

Moreover, the location of landfall is just as important as the timing. Coastal areas are particularly vulnerable to the direct impacts of a hurricane, including storm surge, high winds, and heavy rainfall. However, inland areas can also experience significant effects, such as flooding and wind damage. The predicted path of the hurricane will give you an idea of which areas are most at risk, helping you make informed decisions about your safety and preparedness.

What is OSCIOS and its Role?

You might be wondering, what exactly is OSCIOS and how does it fit into all of this? OSCIOS, which stands for the Ocean Surface Current Imaging System, is a cutting-edge technology used to monitor ocean currents. This system plays a vital role in understanding and predicting the behavior of hurricanes. By providing detailed information about ocean currents, OSCIOS helps forecasters improve the accuracy of their hurricane predictions.

Ocean currents can significantly influence the path and intensity of a hurricane. Warm ocean currents, for example, can provide the energy that fuels a hurricane, causing it to strengthen. Conversely, cooler currents can weaken a storm. OSCIOS helps scientists map these currents in real-time, giving them a better understanding of the ocean conditions that are affecting the hurricane. This information is then fed into weather models to refine forecasts.

The data collected by OSCIOS is also used to study the broader impacts of hurricanes on ocean ecosystems. Hurricanes can cause significant changes in ocean temperature, salinity, and nutrient distribution. Understanding these changes is important for managing fisheries, protecting marine habitats, and predicting long-term environmental effects. OSCIOS contributes to this understanding by providing valuable data on the interaction between hurricanes and the ocean.

In addition to monitoring ocean currents, OSCIOS can also be used to track debris and pollutants in the ocean. This is particularly important after a hurricane, when large amounts of debris can be washed into the sea. By tracking the movement of this debris, OSCIOS can help guide cleanup efforts and protect coastal areas from further pollution. The system’s versatility makes it an invaluable tool for both hurricane forecasting and environmental management.

Understanding the MSC and its Significance

The term MSC often comes up in discussions about hurricane forecasting. MSC stands for the Meteorological Service of Canada. It is the agency responsible for providing weather forecasts and warnings in Canada. While Hurricane Melissa might primarily affect areas outside of Canada, the MSC plays a crucial role in monitoring and predicting its behavior, especially if the storm threatens Canadian waters or land.

The MSC works closely with other meteorological agencies around the world, including the National Hurricane Center in the United States, to share data and collaborate on forecasts. This international cooperation is essential for tracking hurricanes and providing timely warnings. The MSC uses a variety of tools and techniques to monitor hurricanes, including satellite imagery, radar, and weather models. These tools allow them to track the storm’s movement, intensity, and potential impact on Canadian territory.

In addition to providing forecasts, the MSC also conducts research on hurricanes and other severe weather events. This research helps improve forecasting techniques and provides valuable information for emergency management planning. The MSC also works to educate the public about hurricane safety and preparedness, ensuring that Canadians are aware of the risks and know how to protect themselves.

If Hurricane Melissa were to approach Canadian waters, the MSC would issue warnings and advisories to alert the public. These warnings would provide information about the expected impacts of the storm, such as heavy rain, strong winds, and high waves. The MSC would also work with local authorities to coordinate emergency response efforts, ensuring that communities are prepared to deal with the storm.

Preparing for Hurricane Melissa: Key Steps

Okay, guys, let’s get down to brass tacks: preparing for Hurricane Melissa . Being prepared can make a huge difference in staying safe and minimizing damage. Here’s a checklist of key steps you should take:

  1. Stay Informed: Keep an eye on updates from reliable sources like the National Hurricane Center and local news outlets. Knowledge is power!
  2. Create an Emergency Kit: This should include things like water, non-perishable food, a first-aid kit, flashlights, batteries, and any necessary medications. Think of it as your survival pack!
  3. Develop a Communication Plan: Make sure everyone in your family knows how to get in touch with each other if you’re separated. Designate a meeting place in case you can’t return home.
  4. Secure Your Home: Bring in outdoor furniture, secure windows with plywood or storm shutters, and clear gutters and downspouts. Preventing damage is key.
  5. Review Evacuation Routes: If you live in an area that may be evacuated, know the routes and have a plan for where you’ll go. Don’t wait until the last minute!
  6. Charge Electronic Devices: Keep your phones, laptops, and other devices fully charged. Consider having a portable charger on hand.
  7. Secure Important Documents: Keep important documents like insurance policies, identification, and medical records in a waterproof container.
  8. Protect Your Vehicle: Park your car in a safe location, away from trees or other objects that could fall on it.

By taking these steps, you’ll be much better prepared to weather the storm, both literally and figuratively. Remember, preparation is not just about protecting your property; it’s about ensuring your safety and the safety of your loved ones.

Safety Measures During the Hurricane

Once the hurricane arrives, safety becomes the top priority. Here’s what you need to do during the storm to stay safe:

  1. Stay Indoors: The safest place to be during a hurricane is inside a sturdy building. Avoid going outside unless absolutely necessary.
  2. Stay Away from Windows and Doors: These are the most vulnerable parts of your home during high winds. Stay in an interior room, away from exterior walls.
  3. Monitor Weather Updates: Keep listening to weather updates on the radio or TV. This will help you stay informed about the storm’s progress and any changes in conditions.
  4. Avoid Floodwaters: If flooding occurs, stay out of the water. Floodwaters can be contaminated with sewage, chemicals, and debris. They can also be electrically charged.
  5. Use Generators Safely: If you’re using a generator, make sure it’s properly grounded and that you have a carbon monoxide detector. Never run a generator indoors.
  6. Conserve Water: If you lose water pressure, conserve water by using it only for essential purposes.
  7. Be Prepared for Power Outages: Have flashlights, batteries, and a battery-powered radio on hand. Avoid using candles, as they can be a fire hazard.
  8. Stay Calm: It’s important to stay calm and reassure others. Panic can lead to poor decisions. Take deep breaths and focus on staying safe.

By following these safety measures, you can minimize the risks during the hurricane and help ensure the safety of yourself and others. Remember, the storm will eventually pass, and being prepared is the best way to get through it safely.

After the Hurricane: What to Do

Okay, the storm has passed, but it’s not over yet. Here’s what you need to do after the hurricane to stay safe and begin the recovery process:

  1. Wait for the All-Clear: Don’t go outside until authorities have given the all-clear. There may still be hazards, such as downed power lines or weakened structures.
  2. Assess the Damage: Once it’s safe to go outside, assess the damage to your home and property. Take photos or videos for insurance purposes.
  3. Avoid Downed Power Lines: Stay away from downed power lines. They can be deadly. Report them to the power company immediately.
  4. Watch Out for Flooding: Be aware of the potential for continued flooding. Floodwaters can be contaminated and dangerous.
  5. Use Water and Food Safely: If you’ve lost power, be careful about using food that may have spoiled. Use bottled or boiled water until you know the water supply is safe.
  6. Report Damage: Contact your insurance company to report any damage to your home or property. Follow their instructions for filing a claim.
  7. Help Your Neighbors: Check on your neighbors and offer assistance if they need it. Hurricanes can bring out the best in people, so let’s support each other.
  8. Stay Informed: Continue to monitor weather updates and follow the instructions of local authorities. There may be ongoing recovery efforts and safety advisories.

By following these steps after the hurricane, you can help ensure your safety and begin the process of rebuilding and recovering. Remember, it may take time to get back to normal, but with careful planning and community support, you can get through it.

Conclusion

So, there you have it – everything you need to know about Hurricane Melissa. From understanding its current status and predicted landfall time to knowing how to prepare and stay safe, being informed is your best defense. Keep an eye on updates from reliable sources, follow the guidelines provided by emergency management agencies, and stay safe out there! We’re all in this together, and by working together and staying prepared, we can weather any storm. Stay safe, everyone!