Hurricane Idalia: Landfall Strength And Impact

N.Vehikl 5 views
Hurricane Idalia: Landfall Strength And Impact

Hurricane Idalia: Landfall Strength and Impact

Understanding the strength of Hurricane Idalia at landfall is crucial for assessing its impact and the subsequent recovery efforts. Guys, this article dives deep into the specifics of Idalia’s intensity as it struck land, examining the factors that contributed to its power and the consequences for affected areas. We’ll break down the meteorological data, look at the damage it caused, and explore the broader implications for hurricane preparedness in the future. So, buckle up and let’s get into it!

Idalia’s Landfall Intensity

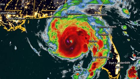
When Hurricane Idalia made landfall on August 30, 2023, it slammed into the Big Bend region of Florida as a high-end Category 3 hurricane. This classification meant it packed sustained winds of around 125 miles per hour. The exact location of landfall was near Keaton Beach, a small coastal community in Taylor County. The storm surge, an abnormal rise of water generated by the hurricane, was a significant threat, with estimates suggesting it could reach between 10 to 15 feet in some areas. The combination of intense winds and storm surge led to widespread destruction along the coastline. Understanding these specific details about the storm’s intensity at landfall is super important because it helps us understand the scale of the damage and the resources needed for recovery. Meteorologists use a variety of tools to measure a hurricane’s strength, including satellites, aircraft, and ground-based radar. These tools provide real-time data on wind speeds, air pressure, and rainfall, which are then used to classify the hurricane on the Saffir-Simpson Hurricane Wind Scale. This scale, ranging from Category 1 to Category 5, is a key way to communicate the potential for damage to the public. In Idalia’s case, the fact that it was a high-end Category 3 meant that it was just shy of being a Category 4, which would have had even more devastating consequences. The storm’s intensity at landfall was also influenced by the warm waters of the Gulf of Mexico, which provided the energy needed for the hurricane to maintain its strength. As Idalia moved over land, it gradually weakened due to the loss of this energy source and increased friction with the land surface. Despite this weakening, it continued to cause significant damage as it moved inland, with heavy rainfall and strong winds affecting communities far from the coast. So, in summary, Idalia’s landfall intensity was marked by its Category 3 status, sustained winds of 125 mph, and a potentially catastrophic storm surge, all contributing to the widespread destruction in its path. Keep reading, guys, there is more information.

Factors Contributing to Idalia’s Strength

Several key factors contributed to Hurricane Idalia’s strength as it approached and made landfall. The most significant was the exceptionally warm waters in the Gulf of Mexico. Hurricanes are fueled by warm ocean temperatures, which provide the energy needed for them to intensify. The Gulf of Mexico has been experiencing record-high water temperatures, creating a favorable environment for hurricane development. These warm waters acted like a supercharger, allowing Idalia to rapidly intensify in the days leading up to landfall. Another factor was the atmospheric conditions. A lack of significant wind shear, which is the change in wind speed and direction with altitude, allowed Idalia to remain well-organized and intensify. High wind shear can disrupt a hurricane’s structure, preventing it from strengthening or even causing it to weaken. In Idalia’s case, the relatively calm atmospheric conditions allowed it to maintain its structure and continue to strengthen as it approached the coast. Additionally, the storm’s track played a role in its intensification. Idalia moved over a long stretch of open water in the Gulf of Mexico, allowing it to draw in more moisture and energy. This prolonged exposure to warm waters contributed to its rapid intensification. The storm’s size also played a role. Idalia was a relatively compact hurricane, which meant that its energy was concentrated in a smaller area. This concentration of energy led to higher wind speeds and a more intense storm surge. Finally, climate change is also believed to be a contributing factor. While it is difficult to attribute any single hurricane to climate change, scientists agree that rising ocean temperatures are making hurricanes more intense on average. This means that future hurricanes are likely to be stronger and more dangerous than those in the past. So, when you put all of these factors together – warm waters, favorable atmospheric conditions, storm track, storm size, and climate change – you get a recipe for a very powerful hurricane like Idalia. Understanding these factors is crucial for predicting future hurricane behavior and preparing for their potential impacts. This helps us understand why Idalia was such a formidable storm at landfall. Let’s explore the impacts in the next section, folks.

Impact and Aftermath of Hurricane Idalia

The impact and aftermath of Hurricane Idalia have been devastating, particularly in the Big Bend region of Florida. The combination of powerful winds and storm surge caused widespread damage to homes, businesses, and infrastructure. Many coastal communities were inundated with several feet of water, leaving homes flooded and roads impassable. The strong winds ripped roofs off buildings, downed trees and power lines, and caused extensive damage to crops. Power outages were widespread, affecting hundreds of thousands of people. In the immediate aftermath of the storm, rescue efforts were focused on helping those who were stranded by floodwaters. Emergency responders used boats and helicopters to reach people who were trapped in their homes. Shelters were opened to provide temporary housing for those who had been displaced by the storm. As the floodwaters receded, the focus shifted to assessing the damage and beginning the cleanup process. Debris removal was a major challenge, as tons of downed trees, building materials, and other debris had to be cleared from roads and properties. Utility companies worked to restore power, but it took several days for electricity to be fully restored in some areas. The economic impact of the hurricane is expected to be significant. The damage to homes and businesses will cost billions of dollars to repair. The agricultural industry also suffered major losses, with many crops destroyed by the storm. Tourism, a major driver of the Florida economy, is also expected to be affected. In the long term, the communities affected by Hurricane Idalia will face a long road to recovery. Many people have lost their homes and businesses, and it will take time for them to rebuild their lives. The storm has also highlighted the vulnerability of coastal communities to the impacts of climate change. As sea levels rise and hurricanes become more intense, these communities will face increasing risks in the future. To mitigate these risks, it is important to invest in infrastructure improvements, such as seawalls and elevated roads. It is also important to implement policies that discourage development in vulnerable areas. Finally, it is essential to reduce greenhouse gas emissions to slow the pace of climate change. The aftermath of Hurricane Idalia serves as a stark reminder of the destructive power of hurricanes and the importance of preparing for these events. By taking steps to protect themselves and their communities, people can reduce their vulnerability to future storms. Up next, we’ll discuss the lessons learned from Idalia.

Lessons Learned and Future Preparedness

Hurricane Idalia, like all major weather events, offers valuable lessons learned for future preparedness . One of the key takeaways is the importance of heeding evacuation orders. Many of the areas that were hardest hit by Idalia were under mandatory evacuation orders, but some residents chose to stay. Those who evacuated were generally safer than those who stayed behind. This highlights the need for clear and effective communication of evacuation orders and the importance of taking these orders seriously. Another lesson is the need for better infrastructure. The storm surge caused significant damage to roads, bridges, and other infrastructure, making it difficult to access affected areas. Investing in infrastructure improvements, such as elevating roads and building stronger bridges, can help to reduce the impact of future storms. Preparedness is the key, guys. The importance of having a well-stocked emergency kit cannot be overstated. This kit should include food, water, medication, and other essential supplies. It is also important to have a plan for where you will go if you need to evacuate. Many people were caught off guard by Idalia’s rapid intensification. This highlights the need for better forecasting and warning systems. Meteorologists are constantly working to improve their ability to predict hurricane intensity and track, but there is still room for improvement. Another crucial area for improvement is community resilience. Communities that are well-prepared for hurricanes tend to recover more quickly. This includes having strong social networks, effective emergency management agencies, and access to resources. Climate change adaptation is also essential. As sea levels rise and hurricanes become more intense, coastal communities need to adapt to these changes. This may involve building seawalls, restoring wetlands, and implementing stricter building codes. Finally, it is important to learn from past mistakes. After every hurricane, it is important to review what went well and what could have been done better. This information can be used to improve future preparedness efforts. Hurricane Idalia was a devastating storm, but it also provides an opportunity to learn and improve our preparedness for future hurricanes. By taking these lessons to heart, we can reduce our vulnerability to these events and protect our communities. Let’s keep learning, folks, and be prepared for anything!

Conclusion

In conclusion, the strength of Hurricane Idalia at landfall was a critical factor in the widespread damage it inflicted. As a high-end Category 3 hurricane with sustained winds of 125 mph, Idalia’s impact was compounded by a significant storm surge, particularly in Florida’s Big Bend region. The storm’s intensity was fueled by unusually warm Gulf of Mexico waters and favorable atmospheric conditions, highlighting the complex interplay of factors that contribute to hurricane development and strength. The aftermath of Idalia underscored the vulnerability of coastal communities to such events, with extensive damage to infrastructure, homes, and businesses. Power outages and flooding exacerbated the challenges faced by residents, emphasizing the need for robust emergency response and recovery efforts. Moving forward, the lessons learned from Hurricane Idalia are invaluable. These include the importance of heeding evacuation orders, investing in resilient infrastructure, improving forecasting and warning systems, and enhancing community preparedness. Addressing climate change and adapting to its impacts are also crucial for mitigating the risks associated with future hurricanes. By incorporating these lessons into our planning and actions, we can better protect ourselves and our communities from the devastating effects of these powerful storms. Staying informed, being prepared, and working together are key to building a more resilient future in the face of increasing hurricane threats. Always be prepared, guys!