Florida Hurricane Live: Updates, Tracking, And Coverage

N.Vehikl 87 views
Florida Hurricane Live: Updates, Tracking, And Coverage

Florida Hurricane Live: Updates, Tracking, and Coverage

Hey guys! Stay informed and safe with the latest live coverage of the Florida hurricane. This article provides real-time updates, crucial tracking information, and comprehensive coverage to keep you and your loved ones prepared. Hurricanes are no joke, and being in the know can make all the difference. Let’s dive into what’s happening and how to stay safe.

Real-Time Hurricane Updates

Alright, let’s get straight to the nitty-gritty. Real-time hurricane updates are absolutely essential when a storm is barreling towards you. You need to know where the hurricane is right now , how strong it is, and where it’s expected to go. Relying on old information is like trying to drive using a map from 1950 – not gonna work!

Major news outlets like CNN, The Weather Channel, and local Florida news stations are your best friends during these times. They usually have reporters on the ground, meteorologists analyzing data, and live streams showing you exactly what’s happening. Social media can also be a source of up-to-the-minute info, but always double-check the source. Misinformation spreads faster than a rogue wave, so stick to verified sources. Government websites like the National Hurricane Center (NHC) and the Federal Emergency Management Agency (FEMA) are goldmines of reliable data, too.

The key is to stay vigilant. Check these sources frequently – multiple times a day – because things can change rapidly. Hurricanes are notoriously unpredictable, and a slight shift in direction or intensity can have huge consequences. Sign up for alerts from your local emergency management agency. These alerts will ping your phone with critical updates, so you’re always in the loop. And remember, preparation is key. Knowing what’s happening in real-time allows you to make informed decisions about evacuation, sheltering, and protecting your property. So, keep those eyes peeled and stay safe, everyone!

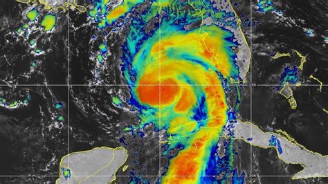
Hurricane Tracking Information

Okay, so you’ve got the real-time updates, but now you need to understand the hurricane tracking information . This isn’t just about knowing where the storm is now; it’s about predicting where it’s going and how strong it will be when it gets there. Think of it like being a detective, piecing together clues to solve a case – except in this case, the “case” is a potentially dangerous natural disaster.

The National Hurricane Center (NHC) is the go-to source for hurricane tracking. They use a bunch of sophisticated tools and models to forecast the storm’s path, including satellite imagery, weather buoys, and computer simulations. The NHC issues regular advisories that include the storm’s current location, intensity, direction, and speed, as well as a forecast track that shows the predicted path of the storm over the next few days. Pay close attention to the “cone of uncertainty” – this represents the range of possible paths the storm could take. It’s a reminder that forecasts aren’t perfect and that the storm could still deviate from the predicted track.

Beyond the NHC, many weather apps and websites offer interactive hurricane trackers that let you zoom in on the storm’s location and see its projected path. These tools often include features like wind speed probabilities, which show the likelihood of experiencing certain wind speeds in your area. Understanding this data can help you assess the risk to your property and make informed decisions about whether to evacuate or shelter in place. Remember, knowledge is power. The more you understand about hurricane tracking, the better prepared you’ll be to protect yourself and your family.

Comprehensive Hurricane Coverage

Alright, let’s talk comprehensive hurricane coverage . This is more than just knowing where the storm is and where it’s going. It’s about understanding the impact the hurricane will have on your community, your home, and your life. Think of it as the whole picture – the news, the resources, and the support you need to get through this.

Comprehensive coverage includes a wide range of information. It starts with the basics: live updates, tracking maps, and forecasts. But it also includes things like evacuation orders, shelter locations, road closures, and power outage information. Local news stations are fantastic for this, as they focus specifically on your community. They’ll tell you which areas are under mandatory evacuation, where to find the nearest shelter, and which roads to avoid. They also provide crucial information about resources like food banks, water distribution centers, and assistance programs.

Beyond the immediate news, comprehensive coverage also includes preparedness tips. This could be anything from how to board up your windows to how to pack a disaster kit. FEMA and other government agencies offer a wealth of information on how to prepare for a hurricane, including checklists, guides, and videos. It’s also important to know what to do after the storm. Comprehensive coverage will include information on how to file insurance claims, apply for disaster assistance, and clean up debris safely.

And let’s not forget the human side of things. Comprehensive coverage often includes stories of people affected by the hurricane – their struggles, their resilience, and their recovery. These stories can be incredibly powerful, reminding us that we’re all in this together and that we can get through anything with the support of our community. So, when you’re seeking out hurricane coverage, don’t just focus on the facts and figures. Look for sources that provide a comprehensive view of the storm and its impact, and remember that you’re not alone.

Staying Safe During a Hurricane

Okay, guys, safety first! Staying safe during a hurricane is the most important thing. All the information in the world won’t help if you don’t take the right precautions. This isn’t just about protecting yourself; it’s about protecting your family, your neighbors, and your community.

If you’re in an evacuation zone, evacuate . Don’t wait until the last minute, and don’t think you can ride it out. Hurricanes are unpredictable, and the risk is simply too great. Follow the instructions of local authorities and evacuate to a safe location, whether it’s a shelter, a hotel, or a friend’s house inland. If you’re not in an evacuation zone, shelter in place. Choose a safe room in your home – ideally an interior room on the lowest level, away from windows and doors. Gather your emergency supplies, including food, water, medications, and a flashlight. Stay informed by monitoring local news and weather updates. And most importantly, stay calm. Panic can lead to poor decisions, so take a deep breath and focus on staying safe.

During the storm, stay inside and away from windows and doors. If the power goes out, use flashlights instead of candles to avoid a fire. Be aware of the risk of flooding, and move to higher ground if necessary. After the storm, be careful when going outside. Watch out for downed power lines, debris, and standing water. Don’t drink tap water until you’re told it’s safe. And be sure to check on your neighbors and offer assistance if needed.

Remember, hurricanes are serious business, but with the right preparation and precautions, you can stay safe and protect your loved ones. So, take this information to heart, make a plan, and be ready to act when the time comes. Stay safe out there, everyone!

Resources for Hurricane Preparedness

Alright, folks, let’s arm ourselves with knowledge! Having the right resources for hurricane preparedness can make a huge difference when a storm is heading your way. Think of these resources as your toolkit – the essential items and information you need to weather the storm and come out on the other side safe and sound.

First up, we’ve got the official sources. The National Hurricane Center (NHC) is your go-to for tracking information, forecasts, and advisories. FEMA offers a wealth of information on all aspects of disaster preparedness, from creating a family plan to building a disaster kit. Your local emergency management agency is another invaluable resource, providing information specific to your community, such as evacuation routes, shelter locations, and local alerts.

Next, let’s talk about supplies. A well-stocked disaster kit is essential. It should include enough food and water to last each person in your family for at least three days, as well as a flashlight, a battery-powered radio, a first-aid kit, medications, and personal hygiene items. Don’t forget about important documents like insurance policies, birth certificates, and identification. Keep these documents in a waterproof container.

Beyond the basics, there are other resources that can be helpful. Weather apps and websites can provide real-time updates and alerts. Social media can be a source of information, but be sure to verify the source before sharing anything. And don’t forget about your community. Get to know your neighbors and work together to prepare for the storm. Offer assistance to those who may need it, and be ready to support each other during and after the storm.

Remember, being prepared is the best way to stay safe during a hurricane. So, take the time to gather your resources, make a plan, and be ready to act when the time comes. It could make all the difference.

Conclusion

So, there you have it, guys! Staying informed with live coverage and being well-prepared are your best defenses against the impact of a Florida hurricane. Keep checking for updates, track the storm’s path, and make sure you have all the resources you need to stay safe. By taking these steps, you can protect yourself, your family, and your community. Stay safe out there!